Объявление

Свернуть
Пока нет объявлений.

Вдхр. Миничи (Ляховичский р-н)

Свернуть
X
 
  • Фильтр
  • Время
  • Показать
Очистить всё
новые сообщения

  • Вдхр. Миничи (Ляховичский р-н)

    Водохранилище Миничи создано в 1985 г. на реках Щара и Ведьма. Расположено в 10 км на юг от г. Ляховичи, у дер. Миничи, на р. Щара в 10 км от г. Ляховичи у д. Миничи. Длина водоема 8.5 км, ширина 0.75 км, площадь водной поверхности 5,4 км кв. Максимальная глубина вдоль затопленного русла реки 8 м.
    Карасево-линевый водоем. Водятся такие виды рыб: окунь, щука, плотва, густера, карась, линь, красноперка, уклея, ерш. Встречаются также карп и язь.
    Организовано промысловое рыболовство и (или) организация платного любительского рыболовства.
    Cтоимость рыбалки 70 000 бр.


    Координаты: 52°59'17"N 26°14'7"E
    Подробнее>>>

    Карта.

    Номер телефона арендатора 821-96-95.
    Последний раз редактировалось UGO; 15.06.2015, 22:32.
    Клуб "МГ"

  • Побывал и я сегодня на данном водоеме.После просмотра зоны Х казалось появятся изменения ,но увы арендаторы и сейчас ведут себя как хозяева водоема,продают путевки как будто нечего и не было.Требовали и с меня оплату и после того как я отказался заплатить грозились вызвать инспекцию ГИОЖиРМ. И еще пытались угрожать сказали что меня запомнили и что у меня будут проблемы ,я им предложил меня сфотографировать.Короче говоря ни чего не изменилось.

    Комментарий


    • Сообщение от ivan68 Посмотреть сообщение
      .Требовали и с меня оплату и после того как я отказался заплатить грозились вызвать инспекцию ГИОЖиРМ. И еще пытались угрожать сказали что меня запомнили и что у меня будут проблемы ,я им предложил меня сфотографировать.Короче говоря ни чего не изменилось.
      Вопрос с нарушениями закрыт. Цитирую инспектора ГИОЖиРМ: "Ничего там не было, пресса всё раздула, разрешён промысел и организация платной рыбалки...". Ни госорганам ни арендаторам факты нарушений и узаконенного браконьерства не нужны. Это их дискредитация. Думаю все участники репортажей после совместного мозгового штурма) и при поддержке вышестоящего начальства пришли к компромиссу: продолжаем "работать". Природа наш ресурс, а не какого-то там населения)))
      ivan68, я бы поостерёгся, эти хабалки и служивые подставят и грамотно сработают на протокол.
      Давеча рассматривал и фотографировал их сети. Так услышал, что суть их работы:" уборка мусора после нас свиней, за это государство им разрешает всё". Правда это должностное арендаторское "тело" не представилось и лицо спрятало от камеры.
      Хоць, праўда, хлеб ядуць і з вуды, але не ўсе і не заўсюды.
      Я.Колас

      Комментарий


      • Сообщение от Умберто Эко Посмотреть сообщение
        эти хабалки и служивые подставят и грамотно сработают на протокол.
        Такое уже было этим летом. Мадам арендатор после препирательств с рыбаками позвонила в РОВД, а когда приехали сотрудники, утверждала, что ее хватали за руки и толкали. Двоих увезли в отдел, одного оставили на берегу. Не знаю, чем закончилось, но, предположу, что протокольчик нарисовали.

        Комментарий


        • Я сегодня дозвонился в зону Х и предложил им снять новый сюжет,на это мне ответили что они нечего не решают ,но пообещали связаться с пресс секретарем инспекции и передать мою информацию.было бы неплохо чтобы они официально выступили с опровержением и облажались на всю строну

          - - - Добавлено - - -

          Сейчас дозвонился до начальника инспекции Брестской области , он мне ответил что в курсе проблема,но вопросами аренды занимается Брестский обл. исполком и если писать обращения в электронном виде о хамоватых арендаторах то это тоже поможет в решении вопроса. Давайте начнем активно защищать водоем.

          Комментарий


          • Ведь до чего дошло!
            Протокол за 10 минут ловли без путёвки...
            Нажмите на изображение для увеличения.

Название:	енгл.jpg
Просмотров:	1
Размер:	103.2 Кб
ID:	3895562
            Правда решением суда отменён
            Счастлив не тот у кого много, а тот кому достаточно...

            Комментарий


            • Сообщение от тоже заболел Посмотреть сообщение
              Правда решением суда отменён
              А вот это уже интереснее... Как, почему?

              Комментарий


              • Парни подскажите как там по щуке есть ли смысл переть туда в начале сезона ?

                Комментарий


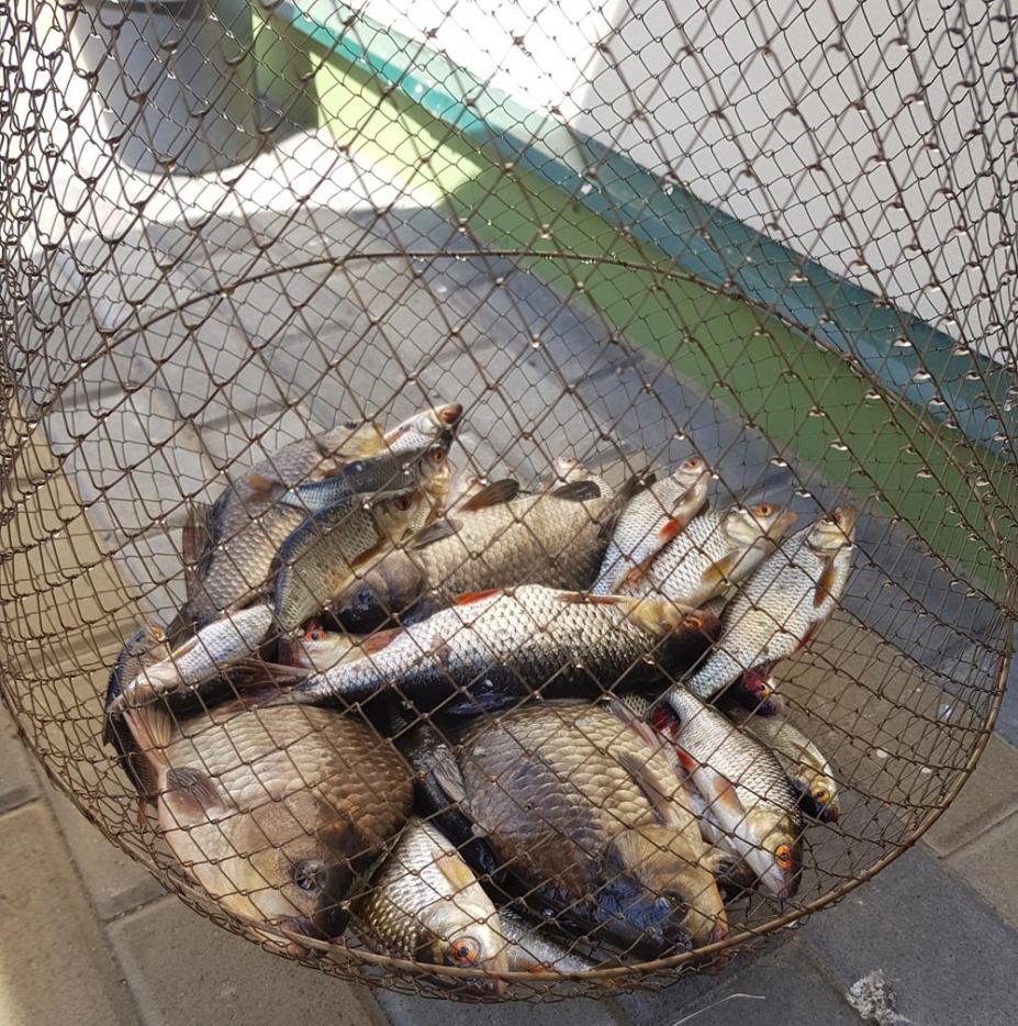
                • Щука быть должна, но вот вчера вечером на фото + 3 карасей пожарили. Утром сегодня поменялся ветер и за все утро 1 карасик и 2 плотки (достаточно упитанные). На удочку возле камыша почти не клевало - у местных с кладок вроде как тоже. Т.е. почти все поймано на фидеры, насадка опарыш и 1 карась взял на червя. Часто незаметно кто-то все обсасывал :)

                  Нажмите на изображение для увеличения.

Название:	рыбалка-щара-03-05-19.jpg
Просмотров:	1
Размер:	199.9 Кб
ID:	3906023

                  Комментарий


                  • Собираюсь ехать на открытие, подскажите где можно путевку купить и сколько она стоит?

                    Комментарий


                    • Сообщение от lexa5288 Посмотреть сообщение
                      Собираюсь ехать на открытие, подскажите где можно путевку купить и сколько она стоит?
                      Два, три раза в день, арендаторы патрулируют) акваторию на деревяшке с Хондой?-малосилкой, обилечивают. В соцсетях встречал, что подняли до 10 руб. На аншлагах есть телефон, можешь это согласовать . Но начало сезона, как правило , глуховато. По хищнику.
                      Хоць, праўда, хлеб ядуць і з вуды, але не ўсе і не заўсюды.
                      Я.Колас

                      Комментарий


                      • сегодня звонил - с 19мая - с лодки 15руб, с берега 10 руб

                        Комментарий


                        • В воскресенье с берега брал неплохой карась 400-700г.

                          Комментарий


                          • Сообщение от shanxai-11 Посмотреть сообщение
                            сегодня звонил - с 19мая - с лодки 15руб, с берега 10 руб
                            на открытие лодки то же буду по 10

                            - - - Добавлено - - -

                            Сообщение от lexa5288 Посмотреть сообщение
                            Собираюсь ехать на открытие, подскажите где можно путевку купить и сколько она стоит?
                            путевку всегда можно купить в сторожке у арендатора

                            Комментарий


                            • Вчера с 14, вяло, с 17 поживее. До 20 вот так

                              Нажмите на изображение для увеличения.

Название:	38.jpg
Просмотров:	1
Размер:	214.3 Кб
ID:	3906458

                              Как сказал друг, который неп ервый год там ловит - обычно после 20 клев почти затихает. Так и было.

                              Утро сегодня было печально дождливым... вышли тольок часам к 7. Пару раз лил неплохой дождь - в перерывах кое-что вытащили, причем в 10.47 взял такой "малыш"

                              Нажмите на изображение для увеличения.

Название:	39.jpg
Просмотров:	1
Размер:	201.3 Кб
ID:	3906459

                              Всего 19 карасей, 5 из них небольших, остальные достаточно зачетные. Одна плотва грамм на 200 утром. Все на фидер, на пучок опарыша белого, на удочку мелочь не дает ничего ловить - ни одного карася на удочку...

                              Комментарий


                              • Были с четверга утра - полный ноль по карасю, только на вымотре фидера на крючке оказался карась... С утра пятница - карась нерестится, камыш трещит... возле кладки и камыша ноль по карасю, часам к 8 солнце скрылось и поднялся ветерок и начал брать на фидер. К 11 дня штук 15 натягали на 8.5кг... Бонусов не было, разве что плотва грамм под 350 одна.

                                Комментарий

                                Просматривают:

                                Свернуть

                                Кто рыбачит

                                Свернуть

                                На рыбалке никого нет

                                Обработка...
                                X