Объявление
Свернуть
Пока нет объявлений.
Заславское водохранилище (Минское море), Минский р-н
Свернуть
X
-
Доброго, Всем, здоровья! Рыбалка в субботу, как и у многих, выдалась ну о-о-очень трудовой.
Действо происходило на плато в 6.5 м правее дамбы, не доходя краба. Дуршлаг из лунок
не позволил распечатать бур, да оно к лучшему – экономия времени и сил + меньше шума,
который, кстати, с лихвой компенсировали, тянущие свой скарб на пластмассовых конструкциях, что туда, что обратно.
Неужели производители не допетрят до бесшумных саней? Понятно, что рыбакам тяжело!
После закорма в ход пошел «микробалдеж». С 09-00 до 12-00 достаточное количество поклевок
практически в каждой второй лунке, но реализация… я бы сказал никакущая! Временами разбирал некий психоз от невозможности подсечь. Уже на что только не грешил: и на руки, и на
балдавешку, и на вороватые поклевки рыбешек и т.д. и т.п. Плотва брала высоко от дна, одну даже цепанул при переходе на другую лунку на высоте метра полтора, не меньше. После 12-00 до
14-30 затишье, потом возобновление издевательства надо мной со стороны рыбешек. Во время перемирия (обеда) опускал крючок с бутиком из мот/реп - отозвались ершики. Рыбка носилась по всей акватории, застолбить ее пытался, изрядно закормив серию из трех, рядом расположенных лунок, добавив сверху мотыля. Безуспешно! Упирался до 17-00 и чуть живой поплелся к машине.
Кстати, тоже видел лед, реально в два раза тоньше, чем везде – 19 см по рулетке, сверху вода см 5. Так что парни пора уже бдительность включать на полную катушку, как в принципе и всегда!
Всем, всего доброго. С уважением,
Я.
-
Поход за судаком
Суббота- не спеша выбрались на море, вместе с единомышленниками , на льду в 11-00. А людей , куда не глянь :o:o:o, выбрали дальние рубежи, где более менее по свободней. Упирался до 18-30, уходили со льда одни из последних. Что по итогу, один штычек,(был выпущен обратно) и две невнятные подтычки, ВСЕ.
Кое кто поймал, но об этом история умалчивает.:D Проходя мимо ловящих видел и хороших подлещей, и у некоторых плотва даже на дно опускаться не давала, так махал крыльями один дедок,что насадил целое ведро, в которое не вмещалась плотва и уже бросал довольный на лед. Я даже хотел домой за удочкой съездить (шутка) .... . Как обычно одни с уловом, другие в пролете...
При уходе с водоема был удивлен не сильно загаженным льдом, по сравнению с Вилейкой !Последний раз редактировалось Антон; 17.02.2014, 12:13.
-
В субботу захотелось жареной плотвы. Засверлил поляну на пологом склоне 4,5 - 5,0 метров, кормил недоувлажненным RS зимняя коричневая плотва, ловил на мотыля. С 9 до 17 часов 82 штучки, некрупная, без мальков и без бонусов. Общий вес 4,4 кг. Клев равномерный целый день.
-
Окунечки-огурчики из бочки...
Сегодня Море,как бы извиняясь за прошлый СВЕРХСУПЕРМЕГАОТСОС подарило мне всего 2 лунки...Но это же были ЛУНКИ!!! На глубине 50см подо льдом на ковре дрейсесны коротал день плотный косяк сытенького окуня...Мордастиков в стае не было,но и планктон они за собой не водили....К 15 30 или я их всех забрал,или вожак увел их ужинать в другое место....Мощнейшее рассверливание не принесло даже тычка....Ну и ладно....Сегодня будет сниться вздрагивающая ниппельная резинка....
-
Сегодня. Район сливающихся русел, гл. 6,5м, корм: трапер унив.+семки+сухари (то, что было под рукой); на мотыля, леска 0,1, мормышка+поплавок. С утра на игру, после - стояк с редким шевелением. Клёв капризный, много пустых подбросов... если промазал - меняй лунку. Попытки применять "нечистую силу" - без результатов... Итого: прибл 1кг... благодаря бонусу:)...
P.S. Проходивший с эхом человек, на вопрос: Есть ли здесь, что живое подо льдом? - ответил, что.... НИЧЕГО!
-
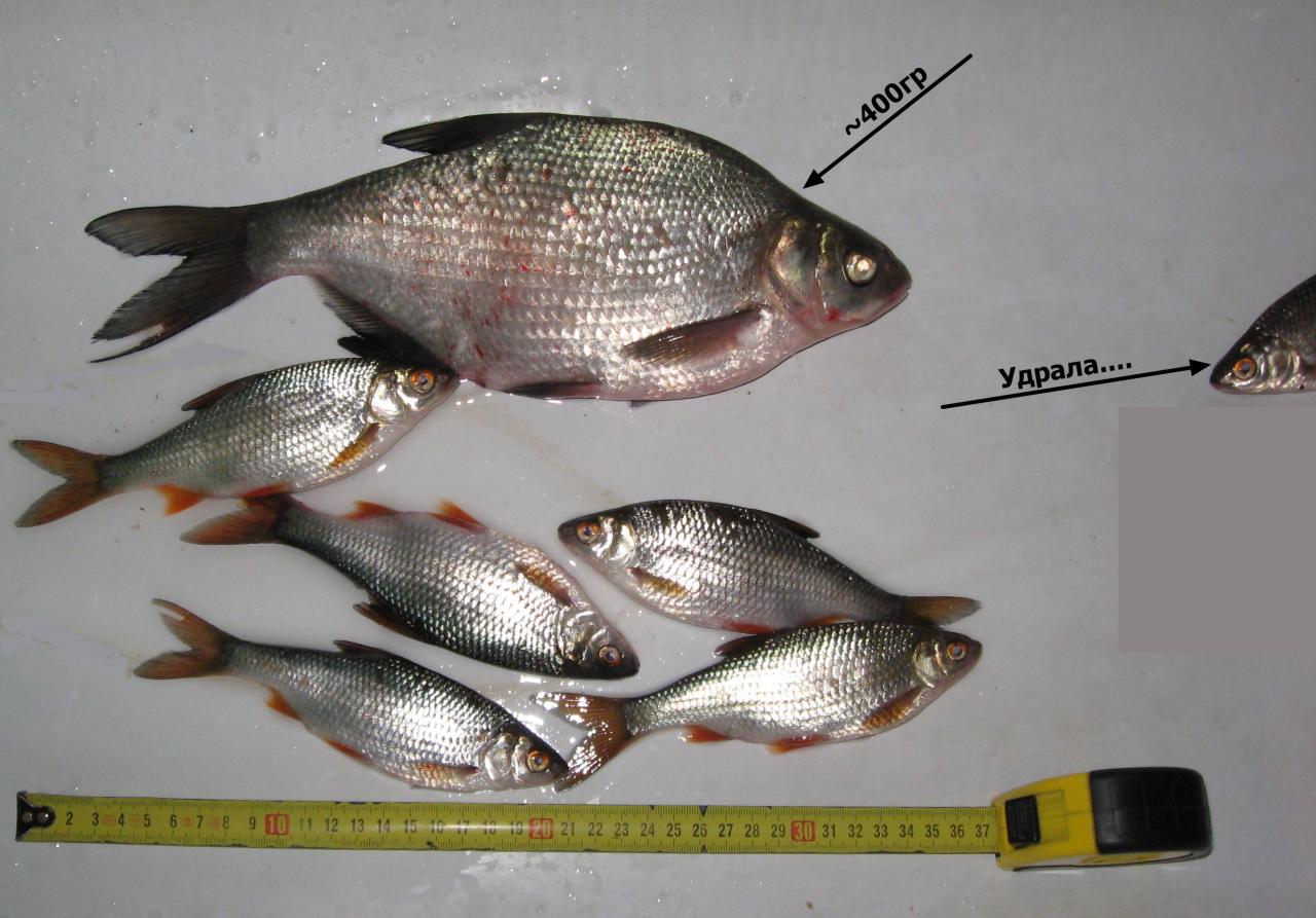
Суббота,глубина 6-6.30 м , равномерный порой очень капризный клев в течении дня с небольшим всплеском с 15 до 15.30 (небольшой 650г. бонус )
Воскресение те же лунки и пара свежих . Первый подлещик в 9 часов на второй лунке , следом фанерка и тишина до 10-11 часов . Постепенно начала клевать плотка, иногда как "подводная лодка" но клев очень осторожный ,максимум две штуки из лунки и шагай дальше.Итог 2.2 кг.
1 ФотоПоследний раз редактировалось oltg; 16.02.2014, 20:57.
-
Был и я сегодня -выходил с краба на середину.Шел по пути искал интересные места эхом по старым лункам.Остнановился на 5.4 до 5.9 закорм 4рех старых луно и ожидание .За полтора часа ни одного намека на поклевку мотыль-крючек основная 0.12 поводок 0.04 .Пообщался с соседями-оп.Рядом добрый дедушка поведал что дней 10 предыдущих неплохо поклевывала бель на 7ми метрах далше центра за трещинами во льду кто был тот поймет и что он ковырял по2-3 кг каждую рыбалку до обеда 50-50 плотва подлещ -плотва крупнее на макарошки .Он и посоветовал пройти туда где он был и показал рассказал-угостил макаронами на пробу.Быстрый сбор -переход закорм 3х старых лунок на 7ми метрах и за два часа полный оп рядом тоже 1 плотка на троих да у одного еще 2-3 плотки и пару фанерок-поговорил с ним сказал что вчера было веселее там -взял он леща и вообще подкидывало бодрее.Х-Зу меня какое то ощущение или по выхам рыба в анабиозе от наплыва рыбаков шума и.т.д(без учета погоды)или тут уж байки рыбацкие мол клевало вчера и завтра таких тоже доводилось встречать.При выходе на берег в районе краба были замечены окушатники на игру немного потягивали матросиков.Думаю попробовать с ночевкой на ММ если что буду рад кампании.Всем НХНЧ
-
Привет всем. Сегодня рыбачил с отцом возле дамбы. Как обычно с самого утра за сверлились, за кормились и около 9.00 начали пробовать ловить. Первые 20-30 мин. ни поклевки. После смены очередной лунки у отца проклюнулось ), 5 подлещиков (2 из них довольно не плохие). У меня только ерш. Сменив еще пару лунок и у меня подлещик на гр.300 на льду, больше поклёвок не последовала. Перейдя на очередную лунка, сразу поклёвка и плотва на верху и опять тишина. Так весь день, пришлось мне с отцом бегать по лункам, 1 максимум 2 рыбы и все. За день на двоих вы мучили штук под 40.
А в общем отдохнули просто супер, подышали свежим воздухом.
Вот отчет ))
-
Только с моря, выходили с краба и по направлению к ратомскому заливу вышли на русло, по сути почти напротив дамбы. Бродили до старым лункам с безмотылкой по глубинам от 6.5 до 7.2. По клеву, как писалось выше, полный провал. У меня одна плотвица, плюс еще пяток нереализованных поклевок, у отца плотвиц штук 6 и один ЁРШ, реально конь. Перепробовали все что можно, от мелких мормых на 0,08, до различных чертей на 0,12...короче как-то так. Непонятно что повлияло, вроде и давление не прыгает, только что ветер немного поменялся
Просматривают:
Свернуть