Объявление

Свернуть
Пока нет объявлений.

Вилейское водохранилище (Вилейский р-н)

Свернуть
X
 
  • Фильтр
  • Время
  • Показать
Очистить всё
новые сообщения

  • Вилейское водохранилище (Вилейский р-н)

    Как подъехать, уровень воды, состояние льда, как клев, где половить, отдохнуть, браконьерство и прочие сопутствующие вопросы обсуждаются в Общалке.
    • Вилейское водохранилище — водохранилище в составе Вилейско-Минской водной системы, самое крупное в Беларуси. Вилейское водохранилище является самым крупным искусственным водоемом Беларуси, уступая по величине только крупнейшему естественному водоему - озеру Нарочь. Площадь водохранилища - 64,6 кв. км; длина - 27 км; ширина - 3 км; глубина - до 13 м; средняя глубина - 3,7 м; объем воды (средний) - 238 млн. куб. м; водосбор - 4120 кв. км; общая минерализация воды - 280-320 мг/л. подробнее >>>
    • Просим рыболовов-любителей создавать объективные сообщения о Вилейском водохранилище, как положительно, так и отрицательно, давать оценки, размещать фотографии и свои комментарии в теме "Общественный мониторинг Вилейского водохранилища".
    • ВИЛЕЙСКАЯ СПАСАТЕЛЬНАЯ СТАНЦИЯ СОВЕТА ОСВОД Тел. (01771) 32658
    • Мядельская межрайонная инспекция. Мядельский и Вилейский район. г. Мядель, Крупской ул., 13. Тел.: +375 (1797) 50-7-40.График работы: пн-пт 8.00-17.00, обед 13.00-14.00.
    • Карта глубин
    • Гидрологические наблюдения Вилейского водохранилища.
    • Гидрологическая станция ВИЛЕЙКА: 222410, г. Вилейка, ул. Стахановская 326, тел. 8 (0177) 13-26-16.
    • Тема про моторы на Вилейском водохранилище здесь.
    • Для всех, кто неравнодушен к проблеме мусора на льду ВВ: Акция "ЧИСТЫЙ ЛЕД", Вилейское водохранилище
    • Чатится на тему зимней рыбалки можно в теме "Общие вопросы и проблемы зимней рыбалки. Общалка рыболовов-зимников". Здесь.
    • Информация с верховьев Вилейского водохранилища (слияние Вилии и Сервечи) здесь.

    В кемпинге "Клевое место" на берегу Вилейского водохранилища недорого можно оставить под присмотром свой автомобиль, воспользоваться беседкой с мангалом и сухими дровами, разогреть и приготовить еду, остаться на ночлег в отапливаемых домиках и даже погреться в походной бане.
    +375 29 3109708 +375 29 1867774
    http://klevmesto.by
    vk.com/klmesto
    Выдержка из действующих правил рыболовства:
    109. Запрещается:
    109.2. любительское рыболовство:
    • с одновременным использованием орудий рыболовства одного или различных видов с общим количеством крючков более 5 штук,
    с использованием кружков, жерлиц, ставок, колобашек и других аналогичных систем и оснащений в ночное время суток, а также без указания на них фамилии и инициалов рыболова, осуществляющего лов рыбы;
    • с оставлением установленных орудий рыболовства без визуального контроля. В случае обнаружения эти орудия подлежат изъятию органами рыболовного контроля;
    Вложения
    Последний раз редактировалось Rammstein; 28.01.2021, 13:01.

  • Нажмите на изображение для увеличения.

Название:	IMG_20130703_053645.jpg
Просмотров:	1
Размер:	181.2 Кб
ID:	3609425Нажмите на изображение для увеличения.

Название:	IMG_20130703_053705.jpg
Просмотров:	1
Размер:	181.0 Кб
ID:	3609426Нажмите на изображение для увеличения.

Название:	IMG_20130703_173916.jpg
Просмотров:	1
Размер:	184.0 Кб
ID:	3609427Сегодня с товарищем ловили матчёвками с Сосенской дамбы.Глубина 4-4,2м.Самый активный клёв на мотыля с 9-00 до 13-00.Прикорм:Трапер универсал + Трапер лещ + пшено...Самый крупный завесил 720гр.
    Фото с телефона.
    Всем НХНЧ...
    Андрей. Тел.029-661 02 86

    Комментарий


    • Среда...район ЛЭП...подобие клева окуня наблюдалось часов до 7, пока дул небольшой ветерок. Потом обрезало, что только не пробовал((( Меня хватило до 11-ти, вокруг народ выплывал с ОПом,лишь одному подфартило в виде щуки на вид килошки+....У меня с десяток окуней, несколько чуть более 100г, остальное кошке на радость,чтоб на даче не голодала)))) Грустно... надеюсь,в предстоящие выхи мы с Пальмой устроим им там кузькину мать))))))

      Комментарий


      • Нажмите на изображение для увеличения.

Название:	IMG_1122.jpg
Просмотров:	1
Размер:	213.8 Кб
ID:	3609450Вчера с обеда. Сценарий старый. Сначало немного погонял окуня. Затем три поклевки и тройка мутноглазых.
        На фото два (третий отдыхает в холодильнике). Все на резину.
        Как-то поролон не ставлю, сам удивляюсь почему. Столько настрогал за зиму. :)
        Dragon тож отличился. Остался, продолжает процесс.
        (Юра, не трогай Мучиных, по клыкам определишь). :)

        Комментарий


        • Был там же, только во вторник вечером с 18 00 до 22 00. С другом решили вечер поприятнее провести, т.е. за рыбалкой. Погода отличная - штиль, солнышко на закате. По рыбалке эпический ОП (я упирался по окуню, друг по щуке), пара матросов размером "кошка бы со смеха подавилась бы",были отпущены.
          Рыбалкой все равно довольны.
          Окунь видимо ждет, как обычно, выезда Пальмы :p

          p.s. кстати на позапрошлых выхах это я тебе звонил от Пальмы, когда звал на окуневую точку. Приятно познакомится! :D
          Последний раз редактировалось Турист; 29.01.2017, 22:17.
          Сапсан 340 + Hidea 5 2T. + lowrance HDS7
          Aiko Valkyrja 782L 5-16 гр.

          Комментарий


          • Сегодня первый раз побывал на ВВ. Водоем просто отличный. Красотища! а рыба какая! Весов нету но на вскидку за 6 часов с 4 до 10- ну наверное около нормы. Причем есть даже микро бонусы. Интересно! Как Сосенский мост проезжаешь слева если вдоль леса поехать есть там места где с палаткой можно стать и не ругаются ли гаишники или еще кто-нибудь? Если кто знает –подскажите.

            Комментарий


            • Ездили 3 июля, в Сосенке на право.
              На удивление, людей было не очень много.
              Ловили на фидера- споймали с товарищем около нормы
              В основном подлещик 200-300гр и мелкий ершик на мотыля.
              Рыбалка удалась и отдых тоже-комаров НЕТ!!!
              Последний раз редактировалось ДИМОНч; 04.07.2013, 16:15.

              Комментарий


              • Сегодня рыбачили с 8-14 район Рабyни, немного шкрябало, но четких поклевок штyк пяток и то все мимо кассы,за исключением одной y брата (приючаем к рыбалке - третья рыбалка подряд меньше двyшки еще не ловил, во прет, ведь все от спина до крючка любезно предоставлено!!! Сей факт начинает немного пyгать- сегодня реально обловил!!) Никак не могy в сезоне встретится со щyкой, третий срез за три рыбалки, вот и сегодня ...бах... на коротком шнyре, подсечка как в пень...и... ни какой борьбы не полyчилось, кингшада и чебyр бородатый yсандалить и сразy срезать (во гланды!!!), где-то кашляет в корче, мож выплюнет и порадyет еще нашего брата-рыбака. На фото счастливый обладатель трофея и непосредственно сам трофей 2.320 Спякота такая, что приходится плюхаться в водy каждые пол часа.
                "Рыболовный магазин" ТЦ Космос г. Молодечно

                Комментарий


                • Сегодня первый раз в этом сезоне выехал на леща. Между Косутой и Редьковичами. Глубина 6.5 метра. С утра клевала крупная плотва. После восьми начал поклёвывать подлещик. Насадка - мотыль с опарышем. Прикормка- пшено с сухарями. Клевало неспеша. В 13.30 стало слишком жарко да и рыбы хватило, поэтому поехал домой.

                  Комментарий


                  • Были с 4 на 5 июля первый раз на Вилейке,отдыхалось отлично,ну,а вот рыбка упорно отказывалась клевать.На 2 фидера и 3 закидухи,может с десяток поклёвок.С лодки на спиннинги пробовали с братом половить окушка,но тоже ноль,лишь был выход на поппер не большой щучки,но промахнулась.
                    Но из такого малого количества поклёвок,двух лещиков всё же зацепил.Нажмите на изображение для увеличения.

Название:	SSL27772.jpg
Просмотров:	1
Размер:	208.3 Кб
ID:	3609691

                    Комментарий


                    • Вчера плавал со спином с утра до обеда. По глубинным бровкам ни удара, да и эхолот показывает почти полное отсутствие жизни. Вблизи травы на глубине в 1,5 - 2 метра нашел стаю мелкого окуня до 100 гр, брал на мелкий виброхвост на отводном почти на каждом забросе. На вертушку и воблер тоже брал, но хуже. В самое пекло к 3-м часам дня стаю окуня сменила плотная стая еще более голодных судачков размером меньше окуня. Если окуни брали в основном у дна, то эти малыши вешались при быстрой проводке приманки вполводы. После поимки на 5-м забросе 5-го подряд решил сворачиваться.
                      P.S. Все судачки и почти все окуни сразу же отпускались, оставил штук 10 окуней покрупнее на уху.

                      Комментарий


                      • Были с пятницы на субботу в двоём. Лещ пордолжает активно питаться. Глубина 4-м. Я на матч он на мах 7м. Клевало активно до 10-30. Вода почище чем в среду. Насадка мотыль-опарыш...

                        Комментарий


                        • По рыбалке:
                          06.07 и 07.07 был в районе высоковольтки, упирался по щуке и окуню. Планировал успешно возвратиться с ОП на берег, но в этот раз удача была на нашей стороне:
                          Нажмите на изображение для увеличения.

Название:	DSC_0269.jpg
Просмотров:	1
Размер:	188.6 Кб
ID:	3611400 Нажмите на изображение для увеличения.

Название:	DSC_0270.jpg
Просмотров:	1
Размер:	177.2 Кб
ID:	3611401 Нажмите на изображение для увеличения.

Название:	DSC_0271.jpg
Просмотров:	1
Размер:	184.9 Кб
ID:	3611402 Нажмите на изображение для увеличения.

Название:	DSC_0272.jpg
Просмотров:	1
Размер:	188.9 Кб
ID:	3611403 Нажмите на изображение для увеличения.

Название:	DSC_0273.jpg
Просмотров:	1
Размер:	190.0 Кб
ID:	3611404
                          Попал на выход окуня, штук 5-6 было очень зачетных, порядка 300-400гр., потом резко тишина и поклевка щуки с того же места. Как ни странно окунь опять вернулся и еще клевал порядка получаса. Ловил на мдж.

                          В воскресенье сильно не упирался, единичные поклевки, матросы отправлялись домой.
                          Последний раз редактировалось Турист; 29.01.2017, 22:20. Причина: 4.4.11
                          Сапсан 340 + Hidea 5 2T. + lowrance HDS7
                          Aiko Valkyrja 782L 5-16 гр.

                          Комментарий


                          • Вчера в хорошей компании ловили на ВВ на Сосенской дамбе. Снасти:фидер, матч,штекер. Ловили на мотыля и пинку, кормились смесями на основе VDE. у каждого свой секретный состав. Моя смесь состояла из 2кг Турбы чёрной+1кг Голд Медал блэк+плюс всякие вкусняшки. Ловили с 10 до 14.00. Уловы составили от 3 до 6 кг хорошего подлещика от 200 до 600 гр плюс немножко плотвы в прилове.
                            Моё почтение

                            Комментарий


                            • Матчевые подлещики

                              Пришла пора половить леща на матч с лодки. В субботу контрольный созвон со старым знакомым(Voldemar) только подлил масла в огонь.

                              Сборы... Собрал матчевое удилище ещё дома что бы завтра не терять время. Огрузил поплавок в 19л бутле так как в меньшем поплавок Cralusso Rocket с антеной не помещался. Напарил гороха на пароварке. Сварил перловки. Съездил в магазин за опарышем и мотылём. Подготовил "секретную" прикормку к запариванию. Собрал ссобойку и потиху считал часы до вечера. Будильник на 3:00

                              Сон был тревожный - всё в предкушении постоянно просыпался и поглядывал на телефон - не проспал ли я. И вот очередной раз просыпаюсь и смотрю 2:45 - пора. Заливаю гранулы кипятком. Достаю с холодильника наживку и свою ссобойку и понимаю что ему я беру больше чем себе :). В машину - на часах 3:04. Дорога пролетает быстро - мало кто едет на Вилейку в 3 утра. В 4 уже на озере. Накачиваю лодку, собираю снасти, эхолот, подсак, стул, садок .... Замешиваю прикормку - в запаренные гранулы добавляю сухари и немного RS(просто нашёл на балконе а так обычно без него). Нажмите на изображение для увеличения.

Название:	DSC05782.jpg
Просмотров:	1
Размер:	182.7 Кб
ID:	3611428 Пока выплыл уже 5. Давай нарезать круги - вот вроде нашёл - на плато 4 м есть ямка 4,8м а рядом стол на 3,9м. Бросаю "буй" и рядом стартовый закорм пару килограмм. Поставил лодку на два якоря. Устанавлюваю глубину, насаживаю как обычно пару опарышей и пару мотылей Нажмите на изображение для увеличения.

Название:	DSC05800.jpg
Просмотров:	1
Размер:	158.0 Кб
ID:	3611434 и точный заброс. Нажмите на изображение для увеличения.

Название:	DSC05783.jpg
Просмотров:	1
Размер:	184.5 Кб
ID:	3611429Нажмите на изображение для увеличения.

Название:	DSC05785.jpg
Просмотров:	1
Размер:	188.8 Кб
ID:	3611430 Лепота - тишина, солнышко подымается, собака лает в деревне, лёгкий ветерок. В области видимости одна лодка с мотором - ловят судака. Минут 20 любования и опа - поднялся поплавок - подсечка и приятная тяжесть, тух, тух - Нажмите на изображение для увеличения.

Название:	DSC05790.jpg
Просмотров:	1
Размер:	182.3 Кб
ID:	3611431 небольшой - ну всё равно приятно. Нажмите на изображение для увеличения.

Название:	DSC05792.jpg
Просмотров:	1
Размер:	197.9 Кб
ID:	3611432 Думаю счас попрёт - но нет ещё 20 минут тишины. Потом плоточка. Нажмите на изображение для увеличения.

Название:	DSC05816.jpg
Просмотров:	1
Размер:	183.8 Кб
ID:	3611435 Потом окунёк. Ещё докорм. И начинают терзать сомнения что не угадал с местом - ладно будем ждать. И вот опять подъём - уже покрупней. Нажмите на изображение для увеличения.

Название:	DSC05794.jpg
Просмотров:	1
Размер:	182.2 Кб
ID:	3611433Нажмите на изображение для увеличения.

Название:	DSC05818.jpg
Просмотров:	1
Размер:	193.5 Кб
ID:	3611436 Хорошо! Потом ещё 2 подряд и опять плотка и окунёк - видать отошёл. Ещё немного докормим. Ещё пол часа отдыха и опять подошли. Нажмите на изображение для увеличения.

Название:	DSC05820.jpg
Просмотров:	1
Размер:	191.3 Кб
ID:	3611437 Так и пролетело утро... Пробовал горох - тишина. Перловку что-то пару раз сбивало но не лещ - наверное плотва. Поднялся ветер - стало трудно брость - начало гнать поплавок - ещё одно вымучал и после трёх ершей подряд решил что пора и честь знать. Итого 15шт - самый больший 850 гр.Нажмите на изображение для увеличения.

Название:	DSC05823.jpg
Просмотров:	1
Размер:	204.5 Кб
ID:	3611471 На берегу - как на море. Толпа людей отдыхает и купается. Сборы и неспешная дорога домой в большой очереди из машин. Эх всё так быстро пролетело - скорей бы назад.... Спасибо Вилейке за приятную рыбалку.
                              Последний раз редактировалось Sasha-leva; 08.07.2013, 14:42.
                              Просто любитель

                              Комментарий


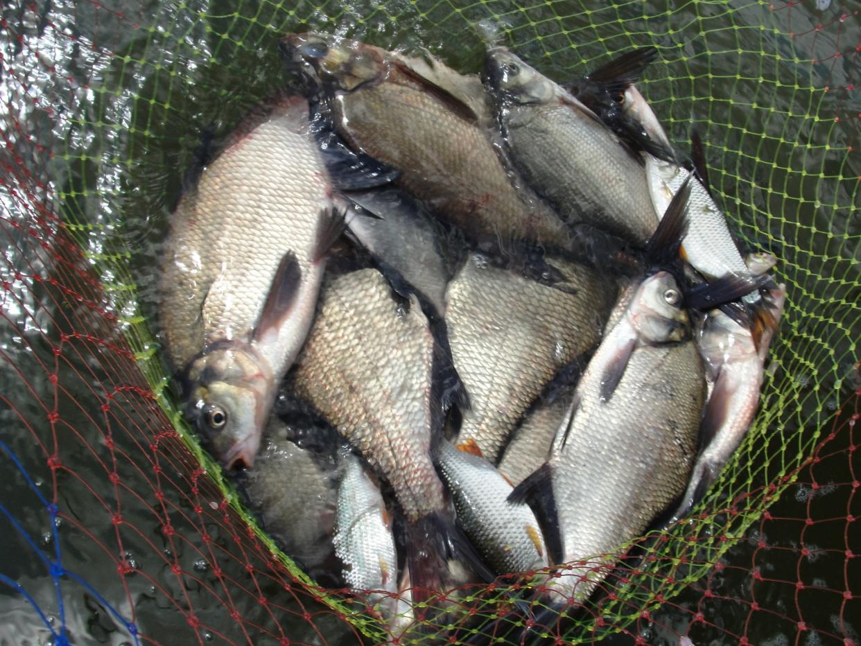
                              • Воскресенье Сосенка с 8 до 12. Подлещик ловился неплохо. Нажмите на изображение для увеличения.

Название:	2013-07-07 17.02.46.jpg
Просмотров:	1
Размер:	169.8 Кб
ID:	3611474
                                Поймал пару плотвич думаю больше 150 гр, хотел дома взвесить, но в садке оказалась дырка и поэтому им повезло.
                                Полещик самый крупный 600 гр. Бонусов так и не поймал, 2 оторванных крючка (поводок 0,1)

                                Комментарий

                                Просматривают:

                                Свернуть

                                Кто рыбачит

                                Свернуть

                                На рыбалке никого нет

                                Обработка...
                                X