Объявление

Свернуть
Пока нет объявлений.

Осиповичское водохранилище (Осиповичский р-н)

Свернуть
X
 
  • Фильтр
  • Время
  • Показать
Очистить всё
новые сообщения

  • Осиповичское водохранилище (Осиповичский р-н)

    Осиповичское водохранилище создано в 1953 году, расположено в Осиповичском районе Могилевской области на реке Свислочь в 6 км к северо-востоку от г. Осиповичи.
    Площадь 11,9 кв.км, длина 23,7 км, ширина 1,2 км, максимальная глубина 8,5 м.

    Карта водоема

    Как проехать, где ловить и прочие вопросы, не связанные с вестями с водоема, обсуждаем в Общалке
    Последний раз редактировалось UGO; 01.08.2020, 12:07.
    Калi яна бярэ, дык яна возьме !

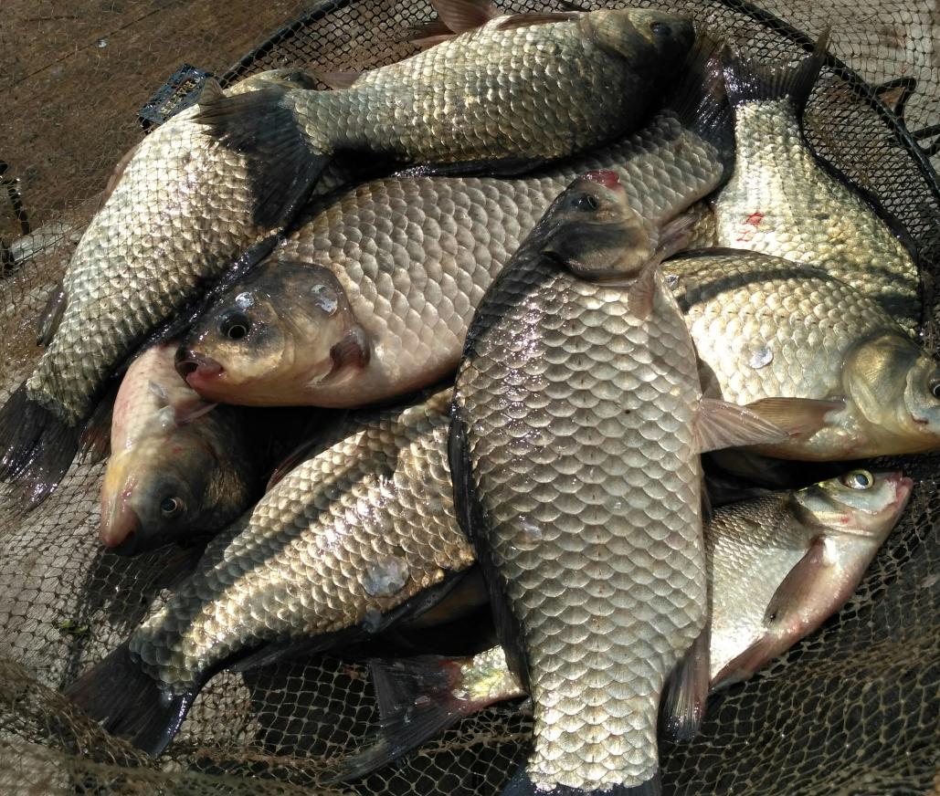
  • Около трёх недель не держал в руках удочек и вот наконец-то дорвался до воды !!)) Осиповичское вдхр. в последнее время мой фаворит )) Без рыбы здесь остаться крайне сложно , но или по крайней мере это большая редкость . Целью был карась и он меня не подвёл )) Нажмите на изображение для увеличения.

Название:	IMG_20170624_101927.jpg
Просмотров:	1
Размер:	99.3 Кб
ID:	3857631Нажмите на изображение для увеличения.

Название:	IMG_20170624_093412.jpg
Просмотров:	1
Размер:	174.7 Кб
ID:	3857632Нажмите на изображение для увеличения.

Название:	IMG_20170624_173409.jpg
Просмотров:	1
Размер:	198.9 Кб
ID:	3857633
    Куплю шкуру браконьера . ДОРОГО !!!

    Комментарий


    • Лапичи

      Лапичи. Ухх а где рыба). Синоптики) дождь пока 3 часа полный ноль!Нажмите на изображение для увеличения.

Название:	20170628_182231.jpg
Просмотров:	1
Размер:	96.2 Кб
ID:	3857973

      Комментарий


      • Начался отпуск , решил половить карасика на Лапичах. Вчера клёв до 9 утра результат Нажмите на изображение для увеличения.

Название:	20170628_171852_HDR-1.jpg
Просмотров:	1
Размер:	115.8 Кб
ID:	3858007. Сегодня водоём встретил ливнем , ловить начали около 6 утра и до обеда клев стабильный экземпляры побольше. Наживка опарыш и бутерброд. К обеду влетел бонус на килоНажмите на изображение для увеличения.

Название:	20170629_143929_HDR-1.jpg
Просмотров:	1
Размер:	211.2 Кб
ID:	3858008Нажмите на изображение для увеличения.

Название:	20170629_144350_HDR-1.jpg
Просмотров:	1
Размер:	206.9 Кб
ID:	3858009

        Комментарий


        • Ночная рыбалка фидером на Озерище особого результата не принесла. Были спойманы: вечером густерка, ночью лещ на 1,35 кг, утром небольшой подлещик. Прикормка ВАБИК ФИДЕР, ЛЕЩ. Из наживок червь, опарыш, перловка.Нажмите на изображение для увеличения.

Название:	20170630_081145.jpg
Просмотров:	1
Размер:	209.6 Кб
ID:	3858054Нажмите на изображение для увеличения.

Название:	20170630_081114.jpg
Просмотров:	1
Размер:	204.8 Кб
ID:	3858055
          Рыба совсем не активная.

          Комментарий


          • Прятались сегодня вдвоем от ветра в районе Спасалки и до поворота, цель выезда был окунек. Один на двоих размером с воблерок и абсолютная тишина оп всем форматам ловли. По бели у народа шли дела веселее. Как то так.

            Комментарий


            • Рыбаки в составе четырёх человек стоявшие возле меня с 30 июня по 2 июля в районе Лапичей оставили забродные сапоги!!! Имён не знаю , но двое из них дядька и племянник!!! +375-29-6299703 Сергей
              Нет пределов в совершенстве!!!

              Комментарий


              • 1-го и 2-го были на водохранилище, людей тьма, а отчётов нет. Полтора часа искали место без мостков для фидера. Нашли возле д.Верейцы. Прикорм РС Карп xxl+РС чеснок, Драгон карп + РС чеснок. Выловили по 4 кг. На мотыль+опарыш подлещик, карась, линь, уклейка,красноперка. На кукурузу плотва. Как писали выше - в дождь клёв выключает. Ну и погода подкачала.Ничего крупнее 400гр не попалось.

                Комментарий


                • были на вых.хотели с пт до вс но дождь вымочил палатки( итог в ночь с пт на сб до 17.00 подлещь и карась. мотыль апар. все одинаковое.два чёта только-карась 600 и подлещь 800. итог на троих 5 кг бели. прикорм проверил новый - вабик фидер,норм работает и запах вкусный. буду брать,рс как по мне дороже и запах не долго держит.

                  Комментарий


                  • Был в пятницу с 5 до 13 один. В субботу с 4-30 до 12-00.

                    В пятницу выбрался один.
                    Клёв был, но нерегулярный, долгое время рыбу на точку поставить не удавалось и, по ощущениям, клевала проходная рыба.
                    Т.к. клёв был пассивный, разложил 2 фидера и неспешно на них подлавливал мерного подлещика грамм по 200-300.

                    К часам 7 рыбка на точку встала и клевала уже более регулярно. Далее всё по классике: провал в клёве, перехожу в режим поддубинивания и влетает лещик. Заброс - и ещё один. Заброс и ещё один хотел бы сказать я, но нет, сход на точке и я после этого пол часа курю бамбук... Дальше вернул на точку подлеща, а вот лещика на точке больше так и не увидел. Ближе к часу пропал подлещик и влетело пару карасей.
                    Как итог - около 7 кило. Часть выпустил, а чуть больше 4-х кг поехало домой на копчение и жарку.

                    Нажмите на изображение для увеличения.

Название:	IMG_20170630_151656.jpg
Просмотров:	1
Размер:	166.7 Кб
ID:	3858306

                    В субботу выбрались вместе с тестем и была ещё более трудная рыбалка чем в пятницу.
                    Состав Vabik Лещ + Vabik Плотва + печиво., РС-ка с предыдущего дня у тестя.

                    По итогу вымучено около 5 кг на двоих.

                    Нажмите на изображение для увеличения.

Название:	IMG_20170701_134015.jpg
Просмотров:	1
Размер:	179.4 Кб
ID:	3858307

                    Комментарий


                    • Вчера попытал счастья на этом водоеме. Погода очень не комфортная , рыба крайне осторожная . Много сходов . Но тем не менее рыбалка состоялась.Нажмите на изображение для увеличения.

Название:	IMG_20170704_052213.jpg
Просмотров:	1
Размер:	92.7 Кб
ID:	3858379Нажмите на изображение для увеличения.

Название:	IMG_20170704_063545.jpg
Просмотров:	1
Размер:	133.1 Кб
ID:	3858380Нажмите на изображение для увеличения.

Название:	IMG_20170704_052203.jpg
Просмотров:	3
Размер:	132.0 Кб
ID:	3858381Нажмите на изображение для увеличения.

Название:	IMG_20170704_071039.jpg
Просмотров:	1
Размер:	196.9 Кб
ID:	3858382Нажмите на изображение для увеличения.

Название:	IMG_20170704_094402.jpg
Просмотров:	1
Размер:	197.0 Кб
ID:	3858383Нажмите на изображение для увеличения.

Название:	IMG_20170704_055240.jpg
Просмотров:	1
Размер:	199.4 Кб
ID:	3858384Нажмите на изображение для увеличения.

Название:	IMG_20170704_225015.jpg
Просмотров:	1
Размер:	207.4 Кб
ID:	3858385Нажмите на изображение для увеличения.

Название:	IMG_20170704_225308.jpg
Просмотров:	1
Размер:	210.1 Кб
ID:	3858386
                      Основной клёв был пару часов после рассвета , пока не поднялся ветер. Потом все слабее.
                      Куплю шкуру браконьера . ДОРОГО !!!

                      Комментарий


                      • Был в субботу на Осипах,ловил до 12.00.Клев го....,но немного наскреб.Ловил на мот-опар.

                        Комментарий


                        • Был с субботы на воскресенье. Обычное место мое занято было. Пошел на мостик. Вечером вынужден пойти на мостик. Подлещик и лещ по нулям. Пару зачетных плоток на разные наживки. Немного густеры на манку. И пару товарных уклеек. С килограмм где-то по итогу всего. Очень слабо. Дубинщики на берегу на восемь закидух карасиков граммов по триста полавливали. В субботу по приезду спросил у сидящих фидеристов спросил об успехах. По одному два карася с ночи. Правда грамм по 900. В воскресенье попал на свое место. Киля три товарной плотвы поймал. На перловку. Ловил махом.
                          Рыбалка - лучшее, что есть для мужчины. Дело не в рыбе, которую вы ловите, а в душевном покое, с каким возвращаетесь домой под конец дня.

                          Комментарий


                          • Впервые посетил данный водоем. Стояли в районе Лапич на крайнем левом месте около бетонного колодца. Других мест не нашлось... уже в пятницу в 3 часа дня все было заставлено дубинами. На одного человека по штук 5-6. Жесть какае-то. В общем встали, разложились. Так как место неизвестное, решил начать с промера глубин. Но на первом же забросе маркер jaxon развалился при входе в воду... померил блин... снимаем остатки поплавка и кидаем груз. После нескольких забросов понимаю, что глубиной тут и не пахнет. Метра 1,5-2 не более. Выбираю наиболее комфортную дистанцию около 30м и начинаю закорм. После 15 кормушек цепляю поводок, сажаю бутер мотыль-опарыш и начинаю ловлю. Первая поклевка через минут 20 и подлещ на грамм 100 в руке. Небрежно кидаю его в садок и перезабрасываюсь. Поклевка и карась ладошечник пойман. До часов 10 вечера было изловлено еще штук 5 карасей. Потом затих клев. Вся надежда была на ночь. Первая ночная поклевка в 2 часа. Именно в тот момент когда я уже стал кимарить на стуле)). Поклевка жесткая, уверенная. Вываживание через траву и карась на грамм 400 пойман. Перезаброс и снова поклевка... начинаю вываживание и понимаю что без помощи товарища никак. Подскак в руки товарищу, рыба пытается уйти в траву но безуспешно. Она уже в корзине. Карась, крупнее предыдущего. Такой клев продолжался до часов 5 утра. После этого затихло. Упирался до 12 дня, но устал от поклевок голодной уелейки и стал собираться домой. Итог рыбалки: 2 подлеща по грамм 100, десяток карасей от 200 до 500 гр. Наживка мотыль-опарыш. Фидер.

                            Комментарий


                            • Были с суббты на воскр на сезоне, вечером клев более менее, утром слабо вообще,опарыш, червь, на убйцу карася пуфики траперовские
                              И 2 поклевки супер дикие, сначала ну убийце карася, достаю нет поводка, начинпю вязать поводок, напарник кричит, оборчаиваюсь, а удочка то уже с моста в воду летит, и тоже оборванный поводок, в итоге кг 3.5 наловил, у напарника карасики посеньше былиНажмите на изображение для увеличения.

Название:	IMG_20170709_091219.jpg
Просмотров:	1
Размер:	206.5 Кб
ID:	3858710
                              И улов с рыбалки недельной давности на том же местеНажмите на изображение для увеличения.

Название:	IMG_20170704_114832.jpg
Просмотров:	1
Размер:	202.5 Кб
ID:	3858711

                              Комментарий


                              • Был две ночи с 14на15 и с 15 на 16... р-н Лапичи, клёв плохой , выловил около 10 карасиков за две ночи, попадаются по грамм 500-600, карась только отнерестился морда шурпатая, без икры...

                                Комментарий

                                Просматривают:

                                Свернуть

                                Кто рыбачит

                                Свернуть

                                На рыбалке никого нет

                                Обработка...
                                X